| | ||||||||
| New Jersey Weather | ||||||||
| NOTÍCIAS | ||||||||
| What impact will Hurricane Irma's future track have on NJ? By Len Melisurgo | NJ Advance Media for NJ.com ... Weather experts are cautiously optimistic that the Garden State — and New York City — will not ...
| ||||||||
| California judge: Girl deemed brain dead may still be alive Court records show that New Jersey Medicaid has picked up some of the girl's health care costs. The family has also received financial contributions ...
| ||||||||
| Timing of Irma's turn to make all the difference in Florida ... Category 2 or Category 3 storm, its impact the middle of next week in the Lehigh Valley and northwest New Jersey likely will be minimal, Sharr said.
| ||||||||
| Rain tapers to showers and eventually off overnight As that front slowly approaches the East Coast overnight, our weather will ... While Irma will have no impact on our weather through at least Monday, some ... north towards Pennsylvania and New Jersey by the middle of next week.
| ||||||||
| 5 Ways Congress Can Help To Rebuild Stronger and Safer Communities After Harvey ... New Jersey, policymakers at all levels of government and in both political parties took steps to honestly assess the risks of future extreme weather ...
| ||||||||
| MotoAmerica: Josh Hayes Says He Feeds Off The Energy Of The "Awesome" Fans At NJMP "It also looks like the weather is going to be ideal for racing. ... Garrett currently has a 32-point lead over JD coming into New Jersey, but he knows that ...
| ||||||||
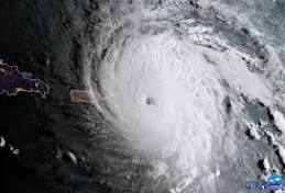
Hurricane Irma leaves nearly 900000 without power in Puerto Rico, devastates Barbuda The National Weather Service said Puerto Rico hadn't seen a storm as ... She said EPA officials in New Jersey were on standby to fly down after the ...
| ||||||||
| Você recebeu este e-mail porque se inscreveu nos Alertas do Google. |
Receber este alerta como feed RSS |
| Feedback sobre o Google+ |